Back
$749,900

38.95 AC / ALL UTILITIES INSTALLED / MTN VIEWS

38.95
ACRES

BEDROOMS

BATH
0
SQ FT

Property description

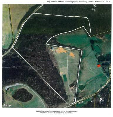
38.95 surveyed ac located in the mtns and hills of Monterey, TN. located in a private & secluded country setting. Ideal for that horse farm with pasture and trails into the woods, lovely creek through the property & a stream flowing into the property. Pond, trails throughout, 360-degree mountain views, mature timberland, harmonious blend of pasture and woods, several building sites to build on, improved driveway with easy access off a paved county road, loads of wildlife, mostly fenced & gated, NO RESTRICTIONS - NO HOA FEES. The property features a spacious 31 x 50 pole barn - garage perfect for storing equipment or hobbies. A flourishing Christmas tree garden - farm with nearly 1200 trees adds a unique touch — and will transfer to the buyer at closing. IMPROVEMENTS: Two footers already in place for two homes (1 site septic system already installed & the other site has a septic system percolation test completed), 400 amp electric has been installed & available, public water installed with multiple water spigots, telephone with cable & internet is installed, two RV sites set up for you to stay and watch your construction of the home (s), 31x50 Barn site already started & all mineral & timber rights transfer to the buyer at closing. Located just 20 minutes or less from Algood, Monterey, and Livingston, TN, you'll enjoy the tranquility of rural living while having easy access to local amenities. Less than 35 minutes away is the beautiful Dale Hollow Lake with some of the best bass fishing in the Country. Buyer to do own due diligence & pertinent information.


Details


Information deemed reliable, but not guaranteed. Buyer to verify all information


Location

127 Rushing Springs Rd, Monterey, Overton County, Tennessee, United States


SIMILAR LISTINGS

© 2026. USA Waterviews. All rights reserved.